土地 八千代市大和田
所在地
八千代市大和田
2,298万円
77.06坪
□建築条件なし売土地
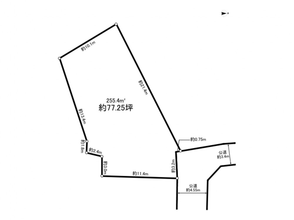
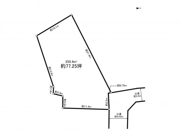
□敷地面積約77坪
〇詳細はお気軽にお問い合わせください。
月々の
支払例
支払例
万円
年
%
円
※京葉銀行/借入金2,298万円、返済期間40年、金利0.975%変動)の場合
※審査により金利は変わる可能性があります。
物件概要
- 交通
-
京成本線 京成大和田駅 まで 徒歩7分
- 接道状況
- 北側 公道4.5m 間口約4m
- 土地面積
- 実測 254.77㎡ (77.06坪)
- 建ぺい率
- 60%
- 容積率
- 200%
- 土地権利
- セットバック
- 無し
- 小学校区
- 中学校区
- 私道負担
- 建築条件
- ー
- 地目
- 宅地
- 現況
- 更地
- 引渡時期
- 相談
- 上水道
- 下水道
- ガス
- 都市計画
- 市街化区域
- 用途地域
- 1種住居
- 設備・条件
- 備考
-
・がけ条例
・埋蔵文化財包蔵地
・千葉県にて擁壁施工予定 - 取引態様
- 仲介

