土地 八千代市大和田新田
所在地
八千代市大和田新田
2,200万円
32.98坪
月々の
支払例
支払例
万円
年
%
円
※京葉銀行/借入金2,200万円、返済期間40年、金利0.975%変動)の場合
※審査により金利は変わる可能性があります。
物件概要
- 交通
-
東葉高速線 八千代中央駅 まで 徒歩11分
- 接道状況
-
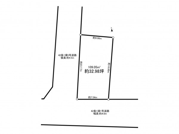
南側 公道4m 間口約7.5m
西側 私道4.5m 間口約13.1m - 土地面積
- 公簿 109.05㎡ (32.98坪)
- 建ぺい率
- 60%
- 容積率
- 200%
- 土地権利
- 所有権
- セットバック
- 無し
- 小学校区
- 大和田西
- 中学校区
- 大和田
- 私道負担
- なし 無
- 建築条件
- なし
- 地目
- 宅地
- 現況
- 上物有
- 引渡時期
- 相談
- 上水道
- 公共
- 下水道
- 公共
- ガス
- 都市ガス
- 都市計画
- 市街化区域
- 用途地域
- 1種住居
- 設備・条件
- 備考
- 取引態様
- 仲介

